Продава се Парцел в Балчик – 953 кв.м за 27 €/кв.м

  • 25,500€
  • 27€/m²
Област Добрич, гр. Балчик
  • Парцел
  • Тип на имота
  • 953
  • кв.м

Накратко за имота

  • Парцел
  • Тип на имота
  • 953
  • кв.м

Описание

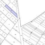
Продавам парцел с морска панорама от квота 0, равен, 953 кв.м по нотариален акт и по кадастрален план, вода в парцела, ток – на границата. Токът и водата никога не могат да спрат, тъй като идва от 2 линии. Парцелът е разположен близо до паркинг със страхотна локация – на 800м от Централен плаж Балчик и на 300 м от Лидл и всички други магазини. Много рядко срещано за Балчик, имотът е върху здрава скала без свлачище. Разрешен строеж до 10 метра височина.

Местност Сухите лозя.

Цената подлежи на коментар след оглед на място.

Детайли

Обновено на януари 1, 1970 в 12:00 am
  • Цена: 25,500€
  • Квадратура: 953 кв.м
  • Тип на имота: Парцел
  • Операция: За продажба

Допълнителни детайли

  • Регулация: В регулация
  • Вода: С вода
  • Ток: С ток
  • Град Балчик
  • Област Област Добрич
  • Държава България

0 Отзив

Sort by:
Leave a Review

    Leave a Review

    Compare listings

    Сравняване
    Olx Недвижими Имоти
    • Olx Недвижими Имоти