Продава се Парцел в Пловдив, Марица Север – 1888 кв.м за 106 €/кв.м

  • 200,000€
  • 106€/m²
Област Пловдив, гр. Пловдив, Марица Север
  • Парцел
  • Тип на имота
  • 1888
  • кв.м
За продажба Частно лице
Област Пловдив, гр. Пловдив, Марица Север
  • 200,000€
  • 106€/m²

Накратко за имота

  • Парцел
  • Тип на имота
  • 1888
  • кв.м

Описание

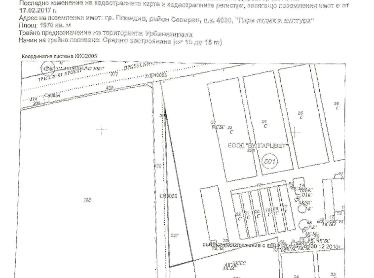
Продава се Парцел в Парк ” Отдих и Култура” Марица Север с идентификатор 56784.501.257 състоящ се от 1970 кв. м. , от върха на парцела към Пазарджишко шосе са вече закупени 82 кв. м. и от него се продава останалата част от 1888 кв. м.. Територия Урбанизирана, Средно застрояване от 10 до 15 м. Към Парцела има и собствен път с идентификатор 56784.501.334

В близост Вода и Ток. От Собственик.

Детайли

Обновено на януари 1, 1970 в 12:00 am
  • Цена: 200,000€
  • Квадратура: 1888 кв.м
  • Тип на имота: Парцел
  • Операция: За продажба

Допълнителни детайли

  • Регулация: В регулация
  • Вода: Без вода
  • Ток: Без ток
  • Град Пловдив
  • Област Област Пловдив
  • Квартал Марица Север
  • Държава България

0 Отзив

Sort by:
Leave a Review

    Leave a Review

    Compare listings

    Сравняване
    Olx Недвижими Имоти
    • Olx Недвижими Имоти