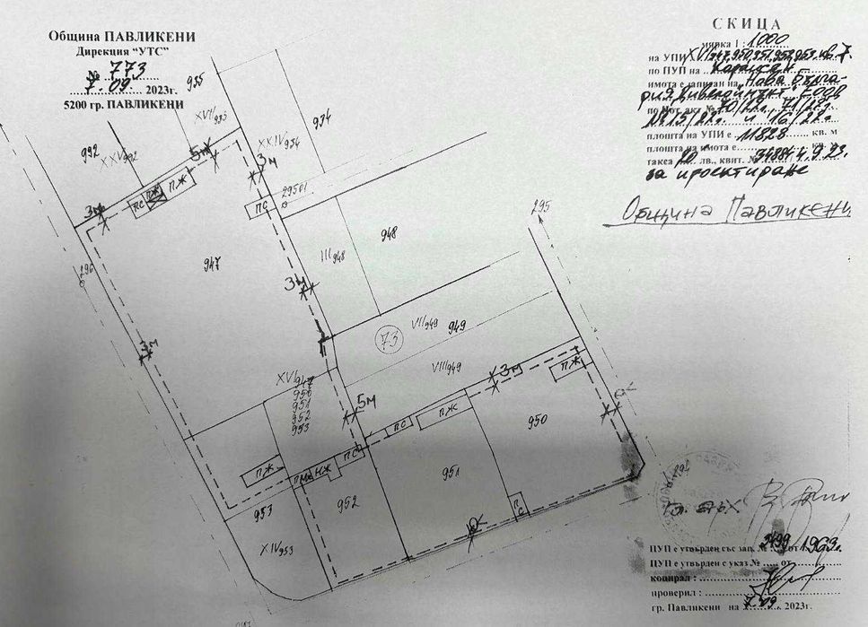
Недвижими имоти Нов дом има удоволствието да Ви предложи за продажба равен парцел с площ от 11 830 кв.м., заедно с построената в него жилищна постройка. Намира се в регулация, в началото на с. Караисен. Имотът граничи с асфалтов път, в близост до трафопост, разполага с действащи партиди за ток и вода, изложението е изток/юг. Изключително подходящ за овощна градина или разсадник, както и за изграждане на фотоволтаични системи, в близост до трасе 20 kw средно напрежение. За огледи звъннете на посочения телефон.
Не пропускайте да се запознаете с тази наша оферта!
Compare listings
Сравняване