Продава се Парцел в с. Тополи, Област Варна – 12900 кв.м за 12 €/кв.м

  • 154,800€
  • 12€/m²
Област Варна, с. Тополи
  • Парцел
  • Тип на имота
  • 12900
  • кв.м

Накратко за имота

  • Парцел
  • Тип на имота
  • 12900
  • кв.м

Описание

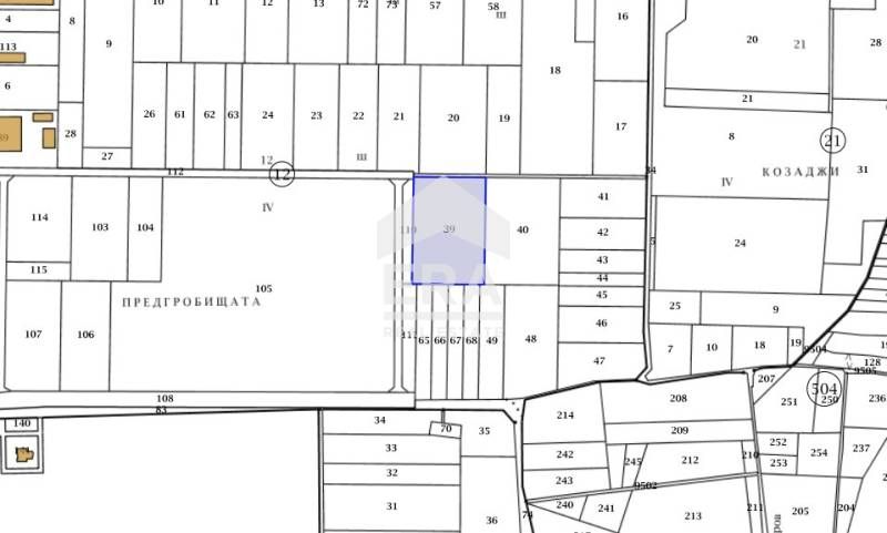
ЕКСКЛУЗИВНО!! ЕРА Максима предлага за продажба парцел голяма площ на втора линия по стария път след село Тополи посока град Девня. Земята е четвърта категория, с площ 12900 кв.м., с правилна форма, равен, с ток и вода в близост. Имота е непосредствено до гробищния парк на Тополи в местност “Пред гробищата” и до него се стига по черен път. Подходящ за строителство с разнообразно предназначение – производствена база, складова база, инфраструктурна сграда, шоурум, автосервиз, офис сграда, паркинг и др.

Топо̀ли е село в Североизточна България, част от община Варна, област Варна.Намира се на километър северно от Варненското езеро и на 8 километра западно от центъра на град Варна.

ЕРА е лицензиран КРЕДИТЕН ПОСРЕДНИК и предлага БЕЗПЛАТНА консултация на своите клиенти!

оферта 2604577

Оферта №2604577

Детайли

Обновено на януари 1, 1970 в 12:00 am
  • Цена: 154,800€
  • Квадратура: 12900 кв.м
  • Тип на имота: Парцел
  • Операция: За продажба

Допълнителни детайли

  • Регулация: В регулация
  • Вода: Без вода
  • Ток: Без ток
  • Град с. Тополи
  • Област Област Варна
  • Държава България

0 Отзив

Sort by:
Leave a Review

    Leave a Review

    Compare listings

    Сравняване
    Olx Недвижими Имоти
    • Olx Недвижими Имоти