Продава се Земеделски имот в с. Брестник, Област Пловдив – кв.м за 31500 €/дка

  • 315,000€
  • 31,500€/дка
Област Пловдив, с. Брестник
  • Земеделски имот
  • Тип на имота
За продажба Частно лице
Област Пловдив, с. Брестник
  • 315,000€
  • 31,500€/дка

Накратко за имота

  • Земеделски имот
  • Тип на имота

Описание

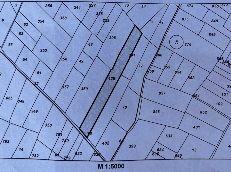
Земеделска земя (нива), намираща се между Асеновградско и Околовръстно шосе, в местност Мистроповите. Номер на имота – 06447.38.438

Обща площ – 10513 кв.м. Цената подлежи на коментар. Телефон за връзка – 08******47.

Детайли

Обновено на януари 1, 1970 в 12:00 am
  • Цена: 315,000€
  • Земя: 10 дка
  • Тип на имота: Земеделски имот
  • Операция: За продажба

Допълнителни детайли

  • Категория земя: 3
  • Аренден договор: Без аренден договор

Особености

  • Град с. Брестник
  • Област Област Пловдив
  • Държава България

0 Отзив

Sort by:
Leave a Review

    Leave a Review

    Compare listings

    Сравняване
    Olx Недвижими Имоти
    • Olx Недвижими Имоти